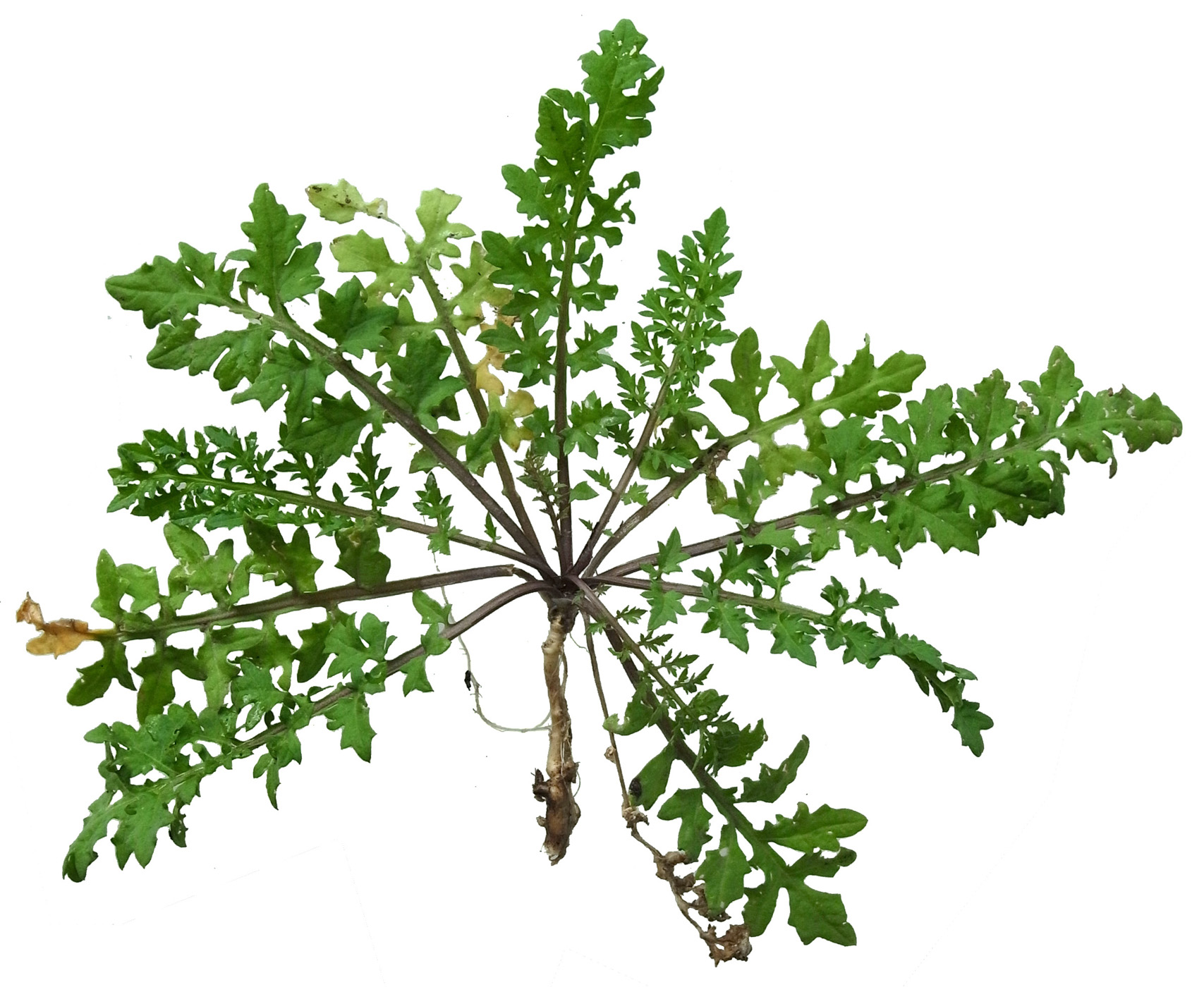
Up キレハイヌガラシ 04 作成: 2015-07-20
更新: 2015-07-20


2015-07-20 採取 ・画像作成



全体