Up ユウキシダレ 01 作成: 2012-05-23
更新: 2013-10-13







2012-05-20
直径 50 cm




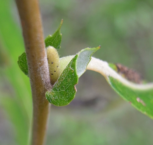
冬芽・芽吹き

2012-05-20






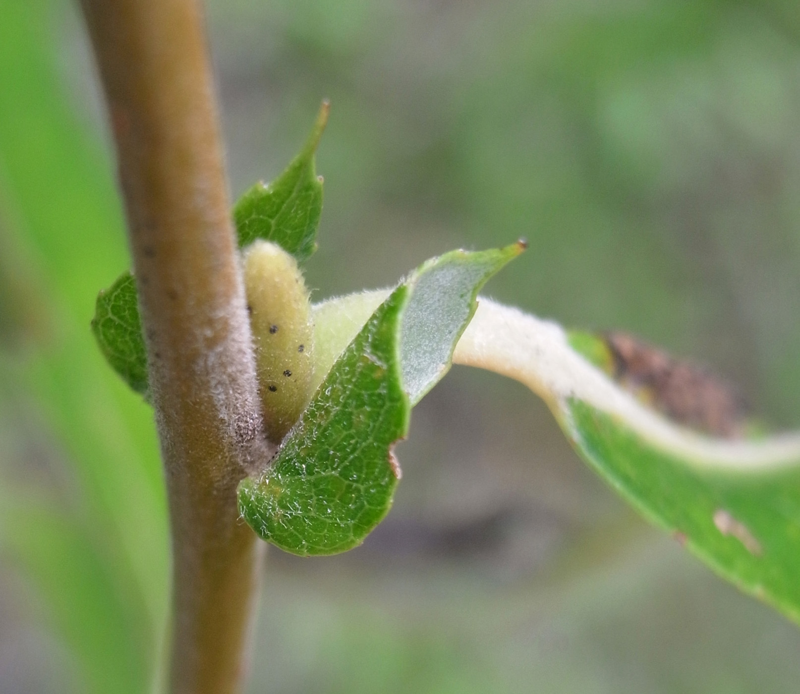
2012-05-20





2013-10-13
 







2012-05-20