Up シラカンバ : 冬芽・芽吹き 作成: 2009-06-30
更新: 2014-01-16






2010-01-26
2010-02-12


2010-03-28
短枝の先につく冬芽



2013-12-21


以下,室内水挿しで芽吹き

2014-01-16




冬芽の形成

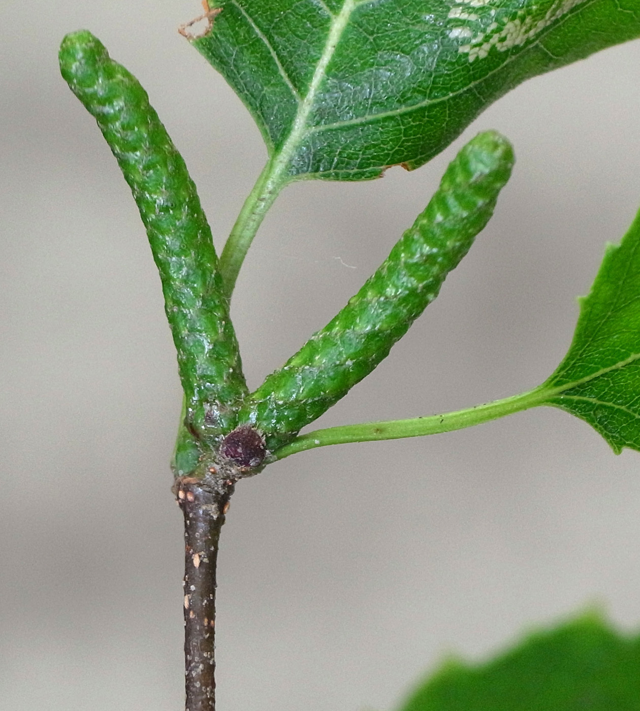
2012-08-16


短枝の先の芽から,(1) 雌花 (→果実), (2) 葉, (3) 来年開く冬芽,が発生










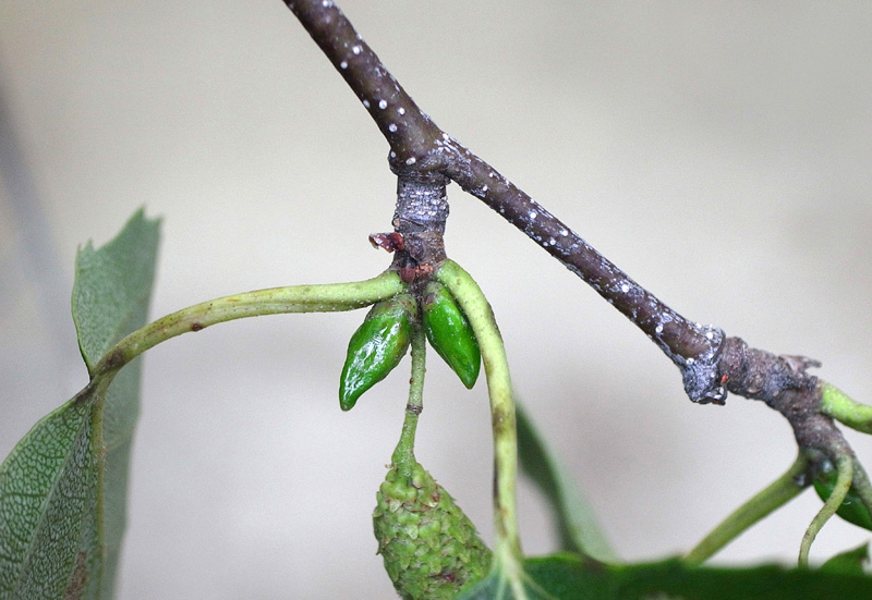
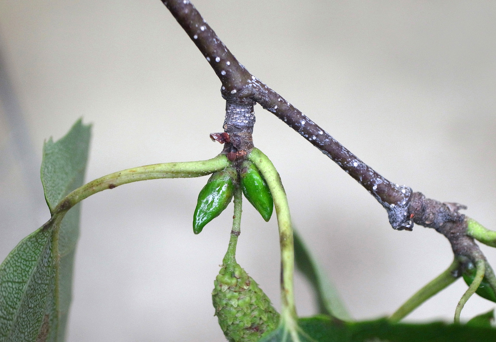
2012-08-17


当年枝の先についた雄花の裸芽
  仮頂芽

側芽


前年枝から当年枝へ


短枝の先の芽から,(1) 雌花 (→果実), (2) 葉, (3) 来年開く冬芽,が発生