Up
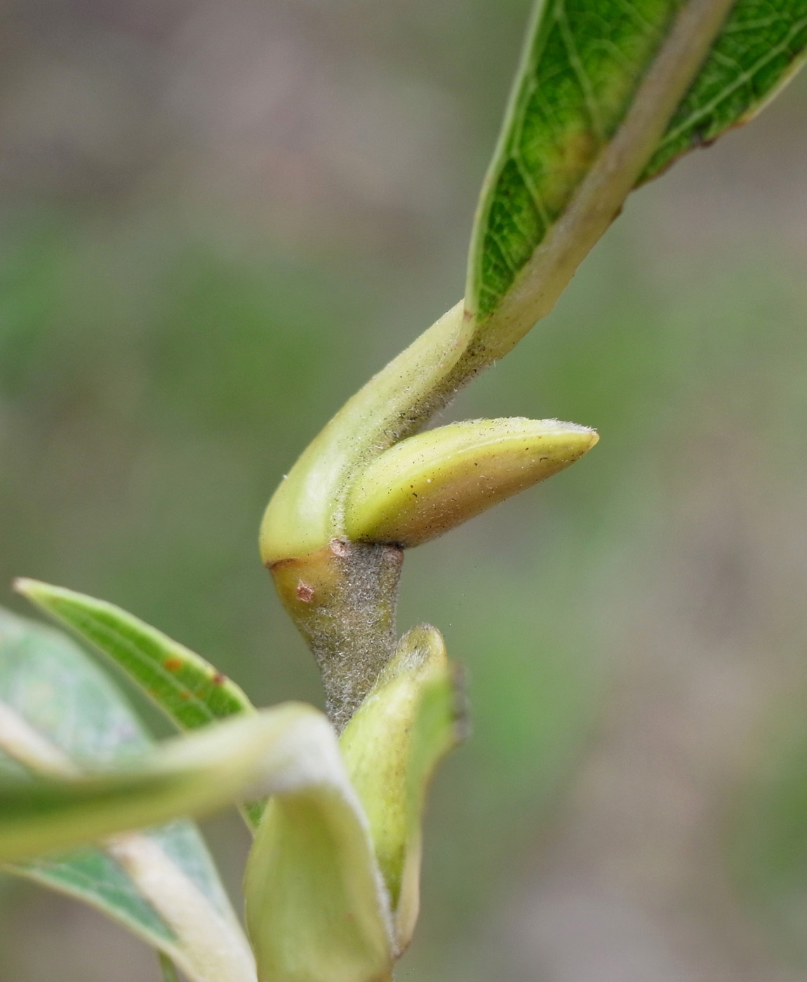
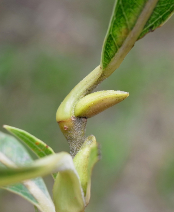
エゾノカワヤナギ:冬芽・芽吹き (
雌
株)
作成: 2009-09-19
更新: 2014-10-18
2014-10-16 (
08
)
2012-10-16 (
08
)
2014-10-16 (
09
)
2012-10-16 (
09
)
2012-10-18 (
10
)
2012-10-18 (
14
)
2012-10-22 (
11
)
2012-10-14 (
17
)
2011-12-11 (
08
)
2011-12-11 (
09
)
2012-01-21 (
11
)
a:
(室内水挿しで芽吹き)
2012-02-08
2012-01-21
b:
d:
c:
2012-01-27 (室内水挿しで芽吹き)
2012-01-29
2012-02-02
2012-01-21 (
11
)
a:
b:
c:
e:
2012-01-27 (室内水挿しで芽吹き)
d:
2012-03-10 (
09
)
(室内水挿しで,芽吹き)
a:
2012-03-12
2012-03-10 (
08
)
(室内水挿しで,芽吹き)
a:
2012-03-11