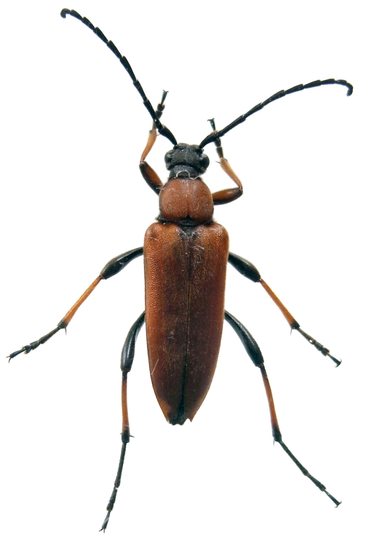
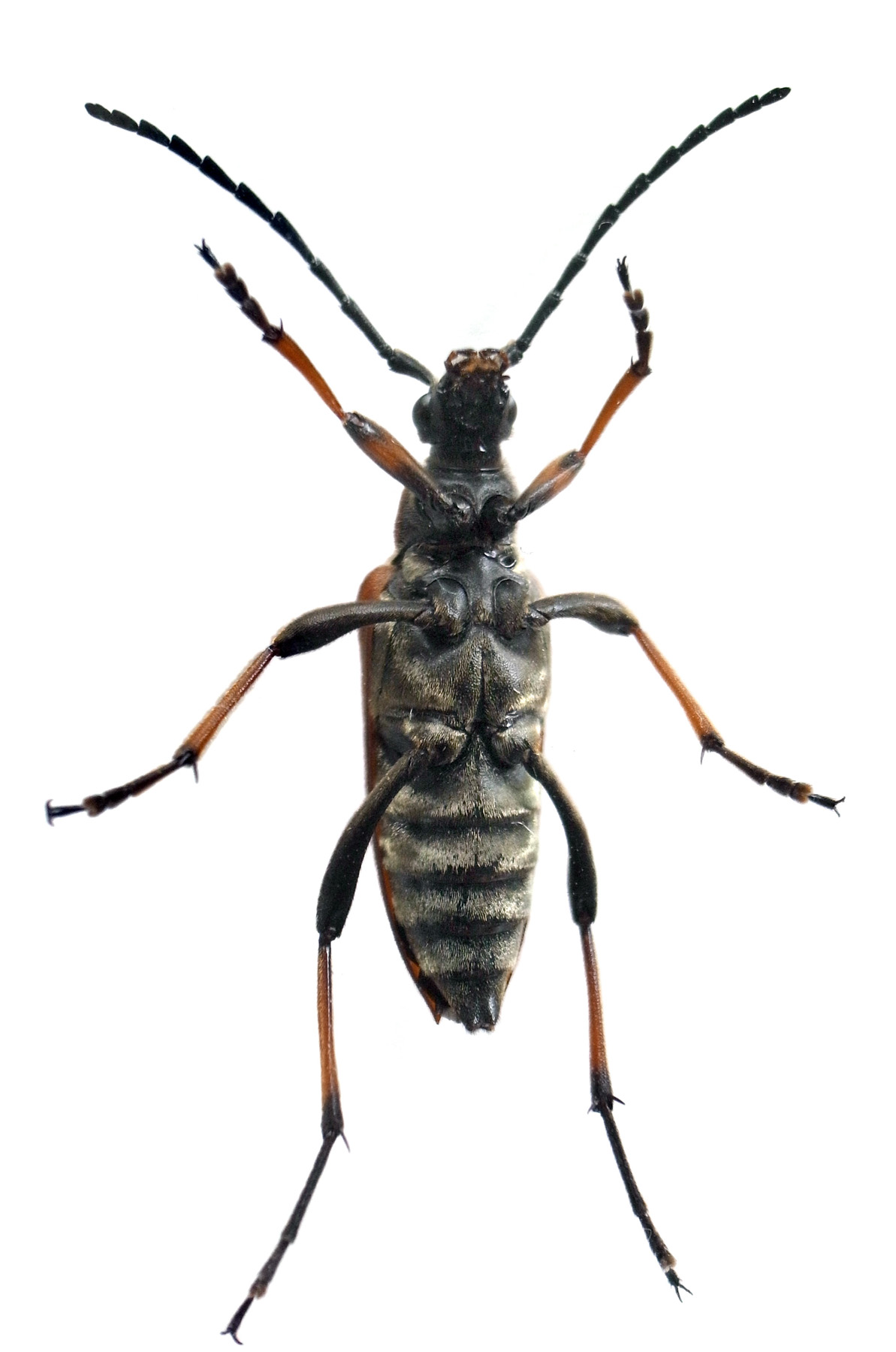
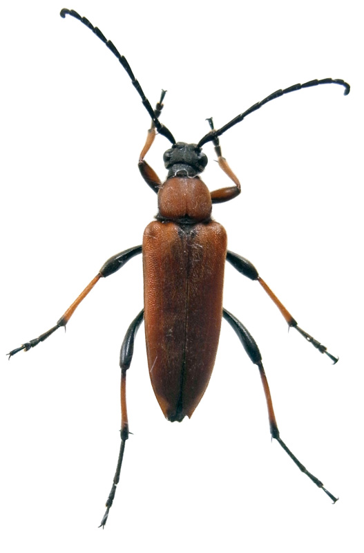
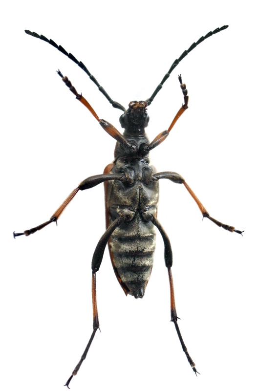
Up アカハナカミキリ 02 作成: 2018-08-07
更新: 2018-08-07







>