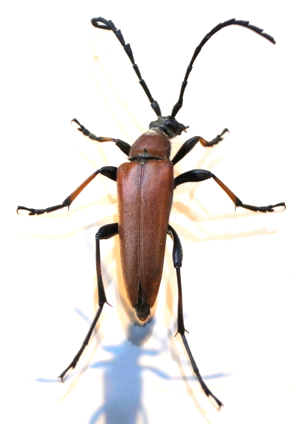
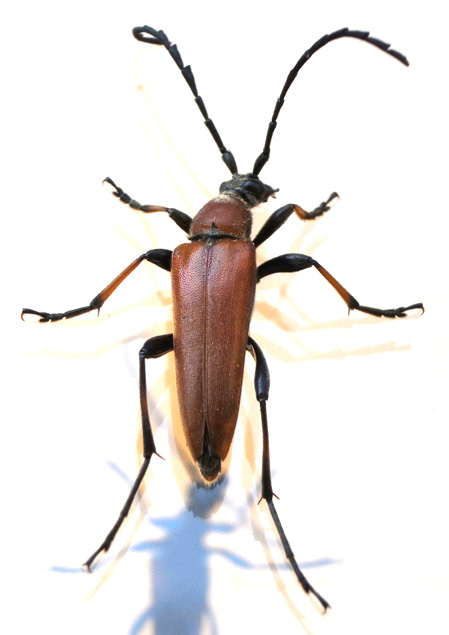
Up アカハナカミキリ 01 作成: 2015-08-05
更新: 2015-08-05