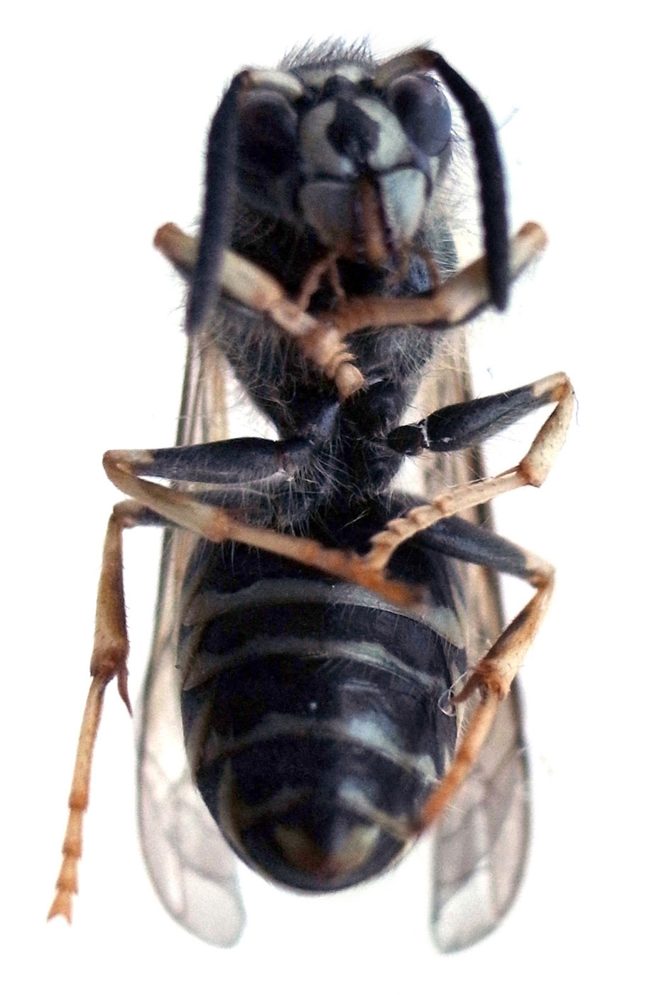
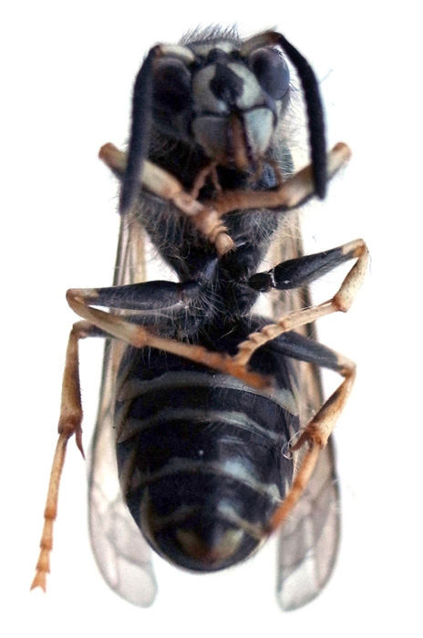
Up 成虫の容姿 作成: 2015-07-09
更新: 2015-12-19


2015-07-08
解像度 102 pixel/inch で実寸