Up 病院 作成: 2011-04-19
更新: 2024-02-08


『足跡 : 三井美唄35年史』(1964), p,39
昭和14 (1939) 年頃までの病院


現在の病院


     川島 (1933), p.905
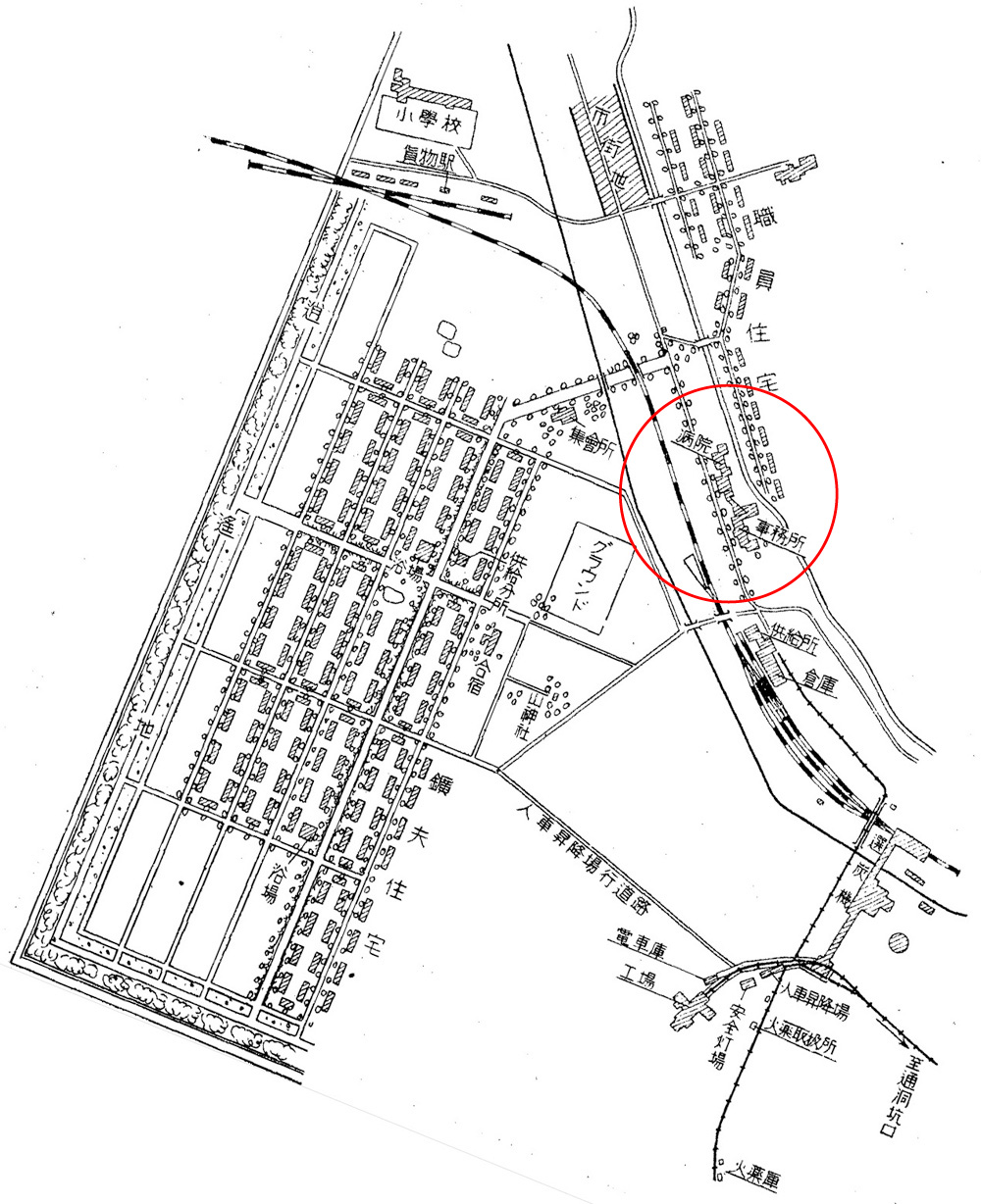
     事務所、工場、病院、學校、佳宅、浴場、供給所等は総て之れを選炭場附近に集中し、諸建物は安く丈夫に防火的にして而も使用に便利ならしむるを主眼とし、材料は實際に耐久力ある丸太材、押角等の使用を多くし,屋根は從來の柾葺板葺を全廃し、坑外運搬軌道上家に至る迄総て亜鉛引鐵板葺とせり。
     ‥‥‥
     事務所と病院は,廊下を以て連絡し (途中防火壁を設く) 給仕小使を共用し (2名を減少)。

川島 (1933), p.905



  • 引用文献
    • 川島三郎「美唄の探炭計晝に就て」, 日本礦業會誌, Vol.49 (No.584), 1933., pp.887-909.