Up 三井美唄炭鉱 : 地図・空中写真 作成: 2023-12-25
更新: 2024-02-17


1919年の地図
美唄市「行政資料室のページ」から引用



「美唄町全圖」(三井美唄炭鉱発足前の地図)
美唄市「行政資料室のページ」から引用




国土地理院マップから引用, レタッチ:



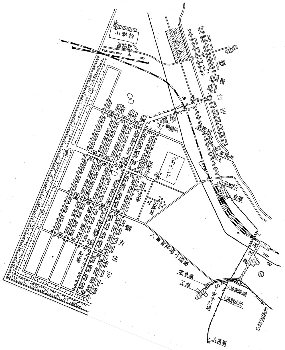
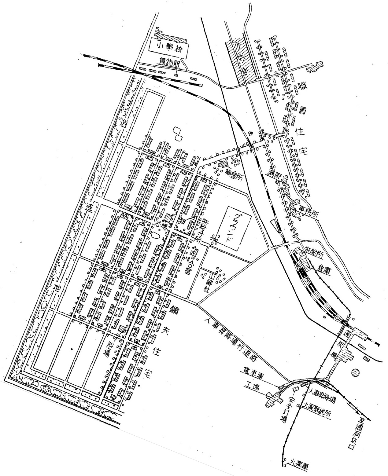
三井美唄地区
三井美唄鉱業所臨時事務所『足跡 : 三井美唄35年史』,1964.5 から引用:



川島 (1933), p.895



川島 (1933), p.905



1935年改修地勢図 (参謀本譜)



黒田 (1936), p.522
(炭層が含まれる地帯をグレーで着色)


(通洞と第一斜坑のつがなりを赤で着色)



黒田 (1936), p.521



国土地理院空中写真 (1962年)


美唄・三井美唄・東明・落合・盤の沢





背景の地図は, 1935年改修地勢図 (参謀本譜)



国土地理院空中写真 (1962年)



  • 引用文献
    • 川島三郎「美唄の探炭計晝に就て」, 日本礦業會誌, Vol.49 (No.584), 1933., pp.887-909.
    • 黒田近雄「三井美唄炭礦の現況に就て」, 日本礦業會誌 No.615, 1936